သုံးရလွယ်ကူစေသည့် Link များ

နောက်ဆုံးရသတင်း

ဆိုင်ကလုံး Fani အတွက် အိန္ဒိယပြင်ဆင်


အိန္ဒိယနိုင်ငံအရှေ့ပိုင်း Odisha ပြည်နယ်ဆီကို တဖြေးဖြေး ဦးတည်သွားနေတဲ့ Fani ဆိုင်ကလုံးမုန်တိုင်း ဖြတ်သန်းသွားမယ့် လမ်းကြောင်းတလျှောက်မှာ နေထိုင်သူ လူပေါင်းက သန်းတရာကျော် ရှိနေပါတယ်။

အိန္ဒိယအာဏာပိုင်တွေဟာ အရှေ့ဖက်ကမ်းရိုးတန်း ဒေသတလွှား မြေနိမ့်ရာ နေရာတွေမှာ နေထိုင်သူ ၁.၂ သန်းကျော်ကို ဘေးလွတ်ရာ ရွှေ့ပြောင်းပေးခဲ့ ပြီးဖြစ်ပါတယ်။ သောကြာနေ့ အစောပိုင်းမှာ ကုန်းတွင်းပိုင်းကို ဝင်ရောက်လာမယ်လို့ ခန့်မှန်းထားတဲ့ မုန်တိုင်း မကျရောက်ခင်မှာ နောက်ထပ် ထောင်နဲ့ချီရွှေ့ပြောင်းပေးဖို့လည်းစီစဉ်နေပါတယ်။ Odisha ပြည်နယ် ကယ်ဆယ်ကူညီရေး ကော်မရှင်နာမင်းကြီး Bishnupada Sethi ကတော့ ဘေးလွတ်ရာရွှေ့ပြောင်းဖို့ လုပ်ဆောင်သင့်တဲ အဆင့်အားလုံးကို အပြင်းအထန်ဆုံး ကြိုးစားဆောင်ရွက်နေတယ်လို့ ပြောပါတယ်။

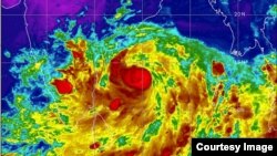
ကြာသပတေးနေ့ မနက်အစောပိုင်းမှာတော့ မုန်တိုင်းဟာ ဘင်္ဂလားပင်လယ်အော်ထဲမှာ တနာရီကို ၁၅၅ မိုင်နှုန်းလောက်နဲ့ တိုက်ခတ်နေပြီး တခါတရံမှာ တနာရီကို မိုင် ၁၉၀ လောက်အထိ ပြင်းအားရှိနေတာ ဖြစ်ပါတယ်။ မုန်တိုင်း Fani ဟာ မကြာခင် ရက်တွေကမှ သိသိသာသာ အားပြင်းလာခဲ့တာကြောင့် အိန္ဒိယ မိုးလေဝဿဌာန IMD က အထူးပြင်းထန်တဲ့ ဆိုင်ကလုံး မုန်တိုင်းအဖြစ် ချက်ချင်းပဲ ပြောင်းလဲ သတ်မှတ်ခဲ့တာပါ။

အပူပိုင်းမုန်တိုင်းအန္တရာယ်အတွက် ဆိုင်ကလုံးခြေရာခံဌာနက ဒီ Fani မုန်တိုင်းကို ပြင်းအား အဆင့် ၄ အဖြစ် သတ်မှတ်ခဲ့တာ ဖြစ်ပြီး အဆင့် ၅ ကတော့ အဆိုးဆုံး အဆင့်ဖြစ်ပါတယ်။ Odisha ပြည်နယ်အတွက် သောကြာနေ့နဲ့ အနောက်ဘင်္ဂလားပြည်နယ် အတွက် စနေနေ့တွေမှာ မိုးသည်းထန်စွာရွာသွန်းနိုင်ပြီး ပင်လယ်ရေပြင်အခြေနေဟာ အန္တရာယ်ကြီးတဲ့အတွက် အနီရောင်- အမြင့်ဆုံးအဆင့် သတိပေးချက် တွေကို ထုတ်ပြန်ထားပါတယ်။

ဟိန္ဒူတွေရဲ့ ဘာသာရေးအထွဋ်အမြတ်ထားရာ Jagganath ဘုရားကျောင်းနဲ့ ယူနက်စကိုရဲ့ ကမာ့္ဘရှေးဟောင်း အမွေအနှစ် စာရင်းဝင် ၁၃ ရာစုက Konarak ဘုရားကျောင်း တွေရှိရာ Puri ကမ်းရိုးတန်း မြို့ကို လာရောက်ကြတဲ့ ဘုရားဖူးတွေနဲ့ ခရီးသွားတွေကိုလည်း ဘေးလွတ်ရာ ထွက်ခွါကြဖို့ အစိုးရအရာရှိတွေက ပန်ကြားနေပါတယ်။ အိန္ဒိယအရှေ့ပိုင်းက Paradip နဲ့ Visakhapatnam အဓိက ဆိပ်ကမ်း၂ ခုမှာ ရှိတဲ့ လှေတွေ ဖယ်ရှားကြဖို့လည်း အမိန့်ထုတ်ခဲ့ပါတယ်။ ဒေသတွင်း လေကြောင်းခရီးစဉ် တချို့ကိုလည်း အိန္ဒိယ လေကြောင်းဆိုင်ရာ ဝန်ကြီးဌာနက ဖျက်သိမ်းထားပါတယ်။

အိန္ဒိယ အရှေ့ပိုင်းဒေသတွေမှာ လူအသေအပျောက်များတဲ့ မုန်တိုင်းဒဏ်ခံရလေ့ရှိပြီး Odisha ပြည်နယ်မှာ ၁၉၉၉ ခုနှစ်က ဝင်ရောက်ခဲ့တဲ့ မုန်တိုင်းကြောင့် သေဆုံးရသူက တသောင်းကျော်ရှိခဲ့ပါတယ်။ Fani မုန်တိုင်းဟာ ၂၀၁၉ ခုနှစ်အတွက် ပထမဆုံး ကျရောက်တဲ့ ဆိုင်ကလုံးမုန်တိုင်း ဖြစ်ပါတယ်။

တိုက်ရိုက် လင့်ခ်

XS
SM
MD
LG